Facebook Instagram X Vimeo Youtube
  • Actualidad
    • Analisis
    • Entrevistas
    • Internacionales
    • Política
    • Tecnología
  • Emprendimiento
    • Economía
  • Estilo de Vida
    • Belleza
    • Moda
  • Entretenimiento
    • Cine
    • Espectaculos
    • Lectura Recomendada
    • Turismo
  • Salud
    • Autismo más cerca
    • Ejercicios
    • Sexualidad
Buscar
Logoall aboutparenting.com
Logoall aboutparenting.com
  • Actualidad
    • Analisis
    • Entrevistas
    • Internacionales
    • Política
    • Tecnología
  • Emprendimiento
    • Economía
  • Estilo de Vida
    • Belleza
    • Moda
  • Entretenimiento
    • Cine
    • Espectaculos
    • Lectura Recomendada
    • Turismo
  • Salud
    • Autismo más cerca
    • Ejercicios
    • Sexualidad
Inicio Actualidad Nacionales Reportaje – Huracán Erin deja lluvias y altos oleajes en zonas...
  • Actualidad
  • Nacionales

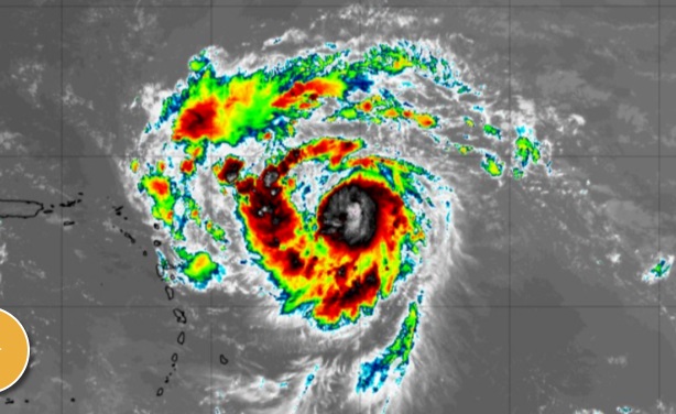
Reportaje – Huracán Erin deja lluvias y altos oleajes en zonas costeras tras su paso próximo a RD

2025-08-18
198
Facebook
X
Pinterest
WhatsApp

    Facebook
    X
    Pinterest
    WhatsApp
      Artículo anteriorReportaje- Danilo dice no quiere humillar a Abinader en debate sobre quién a construido más obras
      Artículo siguienteReportaje- Patronos y sindicalistas volverán a subir al ring por Código de Trabajo en nueva legislatura
      Redaccion Acercate Mas

      Artículos relacionadosMás del autor

      ¿Se ha perdido la humanidad en el periodismo actual? Preciosa Jiménez rompe el silencio y lanza un fuerte mensaje a los nuevos comunicadores”

      ¿Se puede ser exitoso en los medios sin vender los valores? Paola Castillo revela su verdad en ‘Acércate Más'”

      Doctor Ariel Emilio Guerrero Dotel destaca la importancia de elegir un especialista calificado en cirugía plástica

      Promipyme

      SECCIONES POPULARES

      • Nacionales3921
      • Deportes1150
      • Actualidad1062
      • Internacionales947
      • Salud435
      • Economía360
      Promipyme

      RECOMENDAMOS LEER

      Posponen por lluvias el juego Toros vs. Leones del Escogido en la Serie Final...

      Redaccion Acercate Mas - 2026-01-24 0

      JCE informa pequeño conato de incendio en el edificio de servicios fue detectado y...

      Redaccion Acercate Mas - 2025-09-01 0

      Nancy Polanco, presidenta CCRDI, realiza visita de cortesía a Juan Salas, director de la...

      Ana Gonzalez - 2025-08-14 0

      Pepe Abreu: “La cesantía no se toca; si el Código debe quedarse igual, que...

      Redaccion Acercate Mas - 2025-09-07 0

      Yasiel Puig es declarado culpable y puede enfrentar una pena de 20 años de...

      Redaccion Acercate Mas - 2026-02-07 0

      Síguenos en Instagram @acercatemastv

      Logo
      Acércate Más es tu fuente confiable para lo último en noticias, entretenimiento, música y moda. Te traemos historias de última hora, temas en tendencia y videos exclusivos directamente desde el corazón de la industria del entretenimiento.
      Contáctanos: [email protected]
      Facebook Instagram X Vimeo Youtube

      ENTRADAS POPULARES

      Matar un tirano: ¿asesinos o héroes por la Patria?

      2021-05-31

      Brenda Sánchez : ¨Aquí hay muchos funcionarios que están en Belén...

      2021-10-09

      Video| El Patronato y el Grupo Ecológico de las Lagunas reconocen...

      2025-04-29

      CATEGORÍA POPULAR

      • Nacionales3921
      • Deportes1150
      • Actualidad1062
      • Internacionales947
      • Salud435
      • Economía360
      • Revista344
      • Política292
      • Entretenimiento225
      • About
      • Contact
      © 2025 Acércate Más – Noticias, entretenimiento y más. Todos los derechos reservados.