Nacionales
El Aeropuerto de las Américas funciona ya con normalidad luego de ser afectado por un apagón
Redaccion Acercate Mas - 0
SANTO DOMINGO. Aeropuertos Siglo 21 (AERODOM) informó esta tarde que dijo que un fallo eléctrico que ocurrió por la activación de un interruptor de...
Nacionales
Preocupado por medio país apagado, el Presidente Abinader visita la termoeléctrica Punta Catalina
Redaccion Acercate Mas - 0
SANTO DOMINGO.- El presidente Luis Abinader se ha sentido preocupado por el aumento de los apagones y las quejas airadas de ciudadanos afectados.
En ese...
Deportes
Fallece Gustavo Talmaré, prospecto dominicano de 14 años, héroe primera edición Serie del Caribe Kids
Redaccion Acercate Mas - 0
SANTO DOMINGO.-Gustavo Talmaré, un joven prospecto de 14 años que robó los corazones de los fanáticos del béisbol de la República Dominicana durante el...
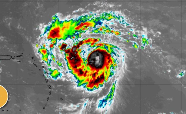
Nacionales
Huracán Erin ahora es un poderoso categoría 5; logra una rápida intensificación en las pasadas horas
Redaccion Acercate Mas - 0
ESTADOS UNIDOS.-El huracán Erin no ha parado de intensificarse este sábado y poco después de las 11 de la mañana las fuerzas de sus...
Nacionales
Reelecto Presidente del Senado destaca armonia entre ese hemiciclo y la Cámara de Diputados
Redaccion Acercate Mas - 0
SANTO DOMINGO.-El senador Ricardo de los Santos, representante de la provincia Sánchez Ramírez, fue reelecto este sábado como presidente del Senado de la República Dominicana,...










