Nacionales
Jean Luis Rodríguez consolida el resurgir del sector portuario dominicano
Redaccion Acercate Mas - 0
Puerto Río Haina.– Desde su designación en 2020 como director ejecutivo de la Autoridad Portuaria Dominicana (APORDOM), Jean Luis Rodríguez ha liderado una transformación...
Nacionales
Ministerio de Defensa destaca importancia de reunión con representante especial de la ONU para Haití
Redaccion Acercate Mas - 0
Santo Domingo, R.D. – En un encuentro de alto nivel realizado en el Ministerio de Defensa, el teniente general Carlos Antonio Fernández Onofre, ERD.,...
Internacionales
Terrible tiroteo en club nocturno de Nueva York deja tres personas muertas y 11 heridas
Redaccion Acercate Mas - 0
Nueva York (AP).- Tres personas murieron y otras 11 resultaron heridas a primeras horas del domingo durante un tiroteo en un concurrido club nocturno de la ciudad de Nueva York. Los investigadores creen que una o varias personas abrieron fuego con múltiples armas en Taste of the City Lounge, en el barrio de Crown Heights en Brooklyn, después
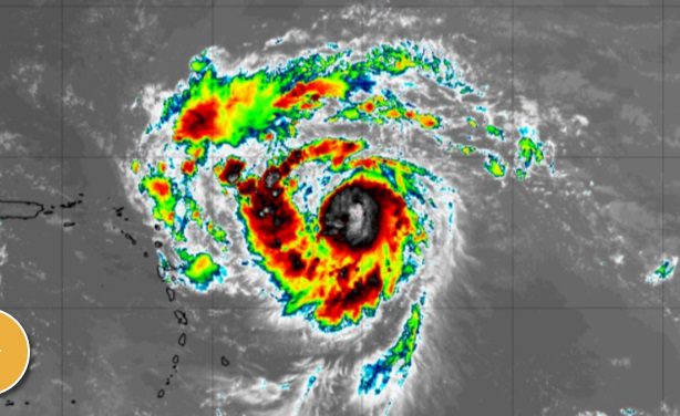
Nacionales
Ciclón Erin baja a categoría 3 y se desplaza a 280 kilómetros al noreste de Punta Cana
Redaccion Acercate Mas - 0
SANTO DOMINGO, RD. – El Centro Nacional de Pronósticos del Instituto Dominicano de Meteorología (INDOMET) informó este domingo que el huracán Erin continúa desplazándose por aguas del...
Nacionales
Convocan cacerolazos para este lunes en Moca y San Francisco de Macorís contra ola de apagones y altas tarifas
Redaccion Acercate Mas - 0
Moca. – Diversas asociaciones comunitarias y movimientos sociales de Moca, en la provincia Espaillat, y San Francisco de Macorís, de la provincia Duarte, convocaron a...










