Danilo Medina: “Si hubiesen construido las plantas que dejé, hoy no habría apagones”
Mao, Valverde.–El expresidente de la República y actual presidente del Partido de la Liberación Dominicana (PLD), Danilo Medina, afirmó que los apagones que actualmente afectan al país se...
Abel en Sosúa: “El orden no se impone cerrando puertas, sino abriendo oportunidades”
Sosúa, Puerto Plata.- Durante un encuentro sostenido con dirigentes y simpatizantes del Partido de la Liberación Dominicana (PLD) junto a representantes de diversos sectores...
Madre de prospecto del beisbol que se ahogó en una laguna, duda del hecho;...
Santo Domingo.- La madre de un prospecto de 14 años, cuyo cuerpo sin vida fue hallado en una laguna de Guerra el viernes, puso en...
Punta Catalina informa que Unidad número 2 vuelve a operar para disminuir ola de...
SANTO DOMINGO.-La Empresa de Generación Eléctrica Punta Catalina informó este domingo que la Unidad 2 de la Central Termoeléctrica Punta Catalina volvió a integrarse al Sistema...
Jean Luis Rodríguez consolida el resurgir del sector portuario dominicano
Puerto Río Haina.– Desde su designación en 2020 como director ejecutivo de la Autoridad Portuaria Dominicana (APORDOM), Jean Luis Rodríguez ha liderado una transformación...
Ministerio de Defensa destaca importancia de reunión con representante especial de la ONU para...
Santo Domingo, R.D. – En un encuentro de alto nivel realizado en el Ministerio de Defensa, el teniente general Carlos Antonio Fernández Onofre, ERD.,...
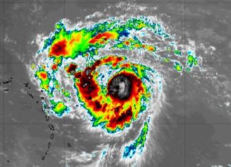
Ciclón Erin baja a categoría 3 y se desplaza a 280 kilómetros al noreste...
SANTO DOMINGO, RD. – El Centro Nacional de Pronósticos del Instituto Dominicano de Meteorología (INDOMET) informó este domingo que el huracán Erin continúa desplazándose por aguas del...
Convocan cacerolazos para este lunes en Moca y San Francisco de Macorís contra ola...
Moca. – Diversas asociaciones comunitarias y movimientos sociales de Moca, en la provincia Espaillat, y San Francisco de Macorís, de la provincia Duarte, convocaron a...
Un hombre muerto y dos heridos en un tiroteo en un colmadón en Sabana...
SANTO DOMINGO.-Un hombre murió y dos resultaron heridos durante una balacera ocurrida en el Colmadón La 42, del sector Pajarito, municipio Sabana de la Mar,...
Entidades medioambientalistas consideran central de Punta Catalina no es confiable
SANTO DOMINGO.- El Comité Nacional de Lucha Contra el Cambio Climático y el Instituto de Abogados para la Protección del Medio Ambiente opinaron que...















