Autismo y ADN basura
Por la Dra. Liji Thomas Revisado por Chloe Barnett, BSc
El trastorno del espectro autista (TEA) es un conjunto de enfermedades del neurodesarrollo en las que los...
Dueños de discoteca Jet Set buscan se realice un nuevo peritaje sobre tragedia en...
SANTO DOMINGO.- Los propietarios de la discoteca Jet Set, los hermanos Antonio y Maribel Espaillat acudieron bien temprano a la sala de audiencia del...
NEFRÓLOGO ADVIERTE 1 HORA DE VAPE EQUIVALE A 300 CIGARRILLOS POR LO QUE LLAMA...
Video| El Nefrólogo dominicano Domingo Martínez advierte sociedad debe prestar atención a la generación de hoy ya que por sus hábitos de hookah, alchol,...
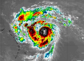
Huracán Erin ahora es un poderoso categoría 5; logra una rápida intensificación en las...
ESTADOS UNIDOS.-El huracán Erin no ha parado de intensificarse este sábado y poco después de las 11 de la mañana las fuerzas de sus...
Ministerio Público valora como positiva la promulgación del nuevo Código Penal
SANTO DOMINGO (República Dominicana).- La procuradora general de la República, Yeni Berenice Reynoso, valoró como positiva la promulgación de un nuevo Código Penal que...
La Primera dama y SNS inauguran Sala de Mamografía en el Hospital Doctora Evangelina...
La primera dama de la República, Raquel Arbaje, y el director del Servicio Nacional de Salud (SNS), doctor Mario Lama, inauguraron la Sala de...
CNM decidirá este viernes continuidad ó no de tres jueces en la Suprema Corte...
Santo Domingo.– Este viernes el Consejo Nacional de la Magistratura (CNM) decidirá si los tres jueces evaluados permanecerán ó no en la Suprema Corte...
Covid 19| Ya puedes inscribirte en el Plan Nacional de Vacunación sin importar la...
El portal del Gobierno de la República Dominicana para realizar "precitas" y citas para la vacunación ya permite que todo el interesado se suscriba...
Latin Grammy 2022: Rosalía se lleva cuatro premios y hace historia con un nuevo...
Rosalía se ha convertido en la primera artista hispana en conseguir el Latin Grammy a Mejor Álbum en dos ocasiones. Además, la catalana se ha llevado cuatro de...















